">
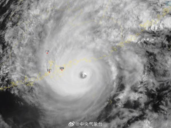
據@中央氣象臺 消息,“蘇拉”有可能成為1949年以來登陸珠三角地區的最強臺風。
9月1日14時,超強臺風“蘇拉”中心附近最大風力17級(58米/秒)。預計,“蘇拉”將以每小時10~15公里的速度向西偏北轉偏西方向移動,將于今天夜間到明天上午以強臺風級或超強臺風級 在廣東惠東到臺山一帶沿海登陸,也不排除在廣東中部近岸海面向西偏南方向移動的可能。

截至9月1日11點40分,廣東省有5個臺風紅色預警、15個臺風橙色預警、24個臺風黃色預警、20個臺風藍色預警和21個臺風白色預警,共85個臺風預警信號生效。

目前,廣東汕尾、惠州、深圳等沿海城市陸續宣布實行“五停”。

多所高校發布緊急通知
9月1日,包括華南農業大學、廣州大學、深圳大學在內的多所廣東高校發布通知,提醒師生注意人身安全。


廣州大學:原計劃于9月1日、2日報到的2023級學生(含全體本科生、預科班新生和研究生新生),如因天氣等原因導致不能按時報到,報到時間可延長至9月3日、4日,報到地點不變 。
深圳大學:請各學院(部)做好學生防臺風安全教育,引導已經到校的學生明后兩天不要外出,確保安全。同時,通知尚未到校的學生暫不要啟程,務必等臺風過后再返校報到。
華南農業大學:請全體師生按照學校有關通知要求,做好個人避險防護,確保生命財產安全,齊心協力,共御臺風。
進出廣東省列車全部停運
廣鐵集團通報,鑒于今年第9號臺風“蘇拉”登陸廣東,將對廣東全省鐵路運輸造成巨大影響。為確保鐵路運輸安全,鐵路部門決定9月1日20時至9月2日18時,對進出廣東省列車全部停運。預計9月2日18時起,逐步恢復京廣高鐵、南廣高鐵、貴廣高鐵、京廣普速鐵路等線路列車運行。


做好防范,
注意安全!
中國青年報綜合:@中央氣象臺、中國天氣、人民日報、各高校官微等。
來源:中國青年報
Copyright ? 2001-2025 湖北荊楚網絡科技股份有限公司 All Rights Reserved
互聯網新聞信息許可證 4212025003 -
增值電信業務經營許可證 鄂B2-20231273 -
廣播電視節目制作經營許可證(鄂)字第00011號
信息網絡傳播視聽節目許可證 1706144 -
互聯網出版許可證 (鄂)字3號 -
營業執照
鄂ICP備 13000573號-1
鄂公網安備 42010602000206號
版權為 荊楚網 www.cnhubei.com 所有 未經同意不得復制或鏡像